A7 Anschluss Frauenfeld Ost
Das Bundesamt für Strassen ASTRA baut den Anschluss Frauenfeld-Ost und zwei direkt angrenzende Kreisel um. Ziel ist die Aufwertung des Langsamverkehrs, die Erhöhung der Sicherheit sowie die Entlastung des nachgelagerten Netzes. Der Ausbau steht in engem Zusammenhang mit weiteren Strassenprojekten der Stadt Frauenfeld und des Kantons Thurgau.
Das Bundesamt für Strassen ASTRA plant auf der Anschlusstrecke beim Autobahnanschluss Frauenfeld Ost den Ausbau des Anschlusses. Dieser und die angrenzenden Kantons- und Gemeindestrassen verzeichneten in jüngerer Vergangenheit eine überdurchschnittliche Zunahme des Verkehrsaufkommens, was dazu führt, dass das Verkehrssystem zunehmend an seine Kapazitätsgrenzen stösst. Der Ausbau steht in engem Zusammenhang mit Projekten des Kantons Thurgau auf der angrenzenden Zürcherstrasse und der Stadt Frauenfeld auf der Langfeldstrasse und Oberkirchstrasse und mündet in einem gemeinsamen Verkehrskonzept Frauenfeld Ost.
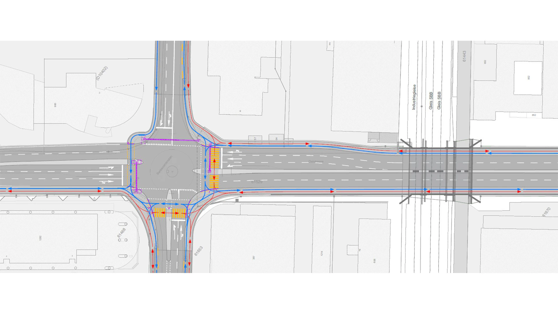
Das Projekt beinhaltet in erster Linie den Umbau der bestehenden, vortrittsberechtigten Knoten und Kreisel zu lichtsignalgesteuerten Kreuzungen. Nebst der Bevorzugung des öffentlichen Verkehrs erfolgt damit auch die Aufwertung des Langsamverkehrs. Zusätzliche Abbiegespuren bei den Knoten tragen zu einem optimierten Verkehrsfluss bei, was für alle Verkehrsteilnehmenden die Sicherheit erhöht.
Gleichzeitig mit dem Ausbauvorhaben erfolgen Instandsetzungsmassnahmen an Fahrbahnen, Kunstbauten (Brücken, Unterführungen), Entwässerungsanlagen sowie Betriebs- und Sicherheitsausrüstungen (BSA).
Kosten
Die Kosten für den Ausbau betragen rund 46 Mio. Franken und werden hauptsächlich durch das ASTRA getragen. Die Stadt Frauenfeld beteiligt sich an den Anpassungsarbeiten für den Langsamverkehr, die weniger als eine Million Franken kosten.
Öffentliche Auflage und Terminplan
Die öffentliche Auflage des Projekts erfolgt gleichzeitig mit den städtischen und kantonalen Bauvorhaben am 16. Januar 2026. Zur Auflage gelangen insbesondere die mit den Knotenanpassungen notwendigen minimalen Landbeanspruchungen. Nach der rechtskräftigen Festsetzung des Ausbauprojektes, welche im Jahr 2028 erwartet wird, folgen die weiteren Projektphasen mit einem Baubeginn frühestens ab 2030.


